Bauleitpläne wirksam/rechtskräftig 2025
Bekanntmachung zur Bauleitplanung der Stadt Aurich
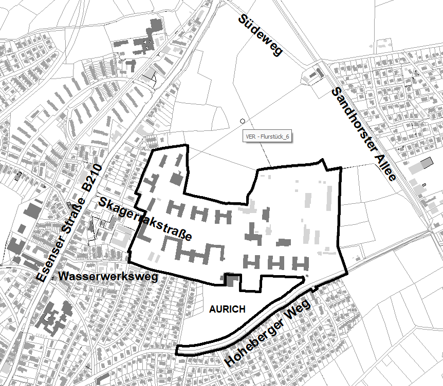
Bekanntmachung über das Inkrafttreten der 72. Änderung des Flächennutzungsplanes „Nördlich Thiel“
Der Landkreis Aurich hat die vom Rat der Stadt Aurich am 18.09.2025 in öffentlicher Sitzung beschlossene 72. Änderung des Flächennutzungsplanes mit Verfügung vom 18.11.2025, Az. 142/2025, gem. § 6 Abs. 1 Baugesetzbuch (BauGB) genehmigt.
Der Geltungsbereich der 72. Flächennutzungsplanänderung ist im nachfolgenden Kartenausschnitt, der Bestandteil der Bekanntmachung ist, schwarz umrandet dargestellt.
Die 72. Änderung des Flächennutzungsplanes liegt gem. § 6 Abs. 5 BauGB mit der Begründung und dem Umweltbericht zu jedermanns Einsicht zu den Geschäftszeiten (Mo. – Mi. von 8.00 – 15.30 Uhr, Do. von 8.00 – 18.00 Uhr und Fr. von 8.00 – 12.30 Uhr) im Technischen Rathaus der Stadt Aurich, Leerer Landstraße 5 – 9, 26603 Aurich, 1. OG bereit.
Des Weiteren wird die wirksame Flächennutzungsplanänderung gem. § 6a Abs. 2 BauGB dauerhaft unter https://www.aurich.de/bauen-wohnen/bauleitplanung/bauleitplaene-wirksam/rechtskraeftig-2025.html ins Internet eingestellt und über ein zentrales Internetportal des Landes unter https://uvp.niedersachsen.de/ zugänglich gemacht.
Gem. § 215 Abs. 1 BauGB werden unbeachtlich:
- eine nach § 214 Abs. 1 Satz 1 Nr. 1 bis 3 BauGB beachtliche Verletzung der dort bezeichneten Verfahrens- und Formvorschriften
- eine unter Berücksichtigung des § 214 Abs. 2 BauGB beachtliche Verletzung der Vorschriften über das Verhältnis des Bebauungsplanes und des Flächennutzungsplanes und
- nach § 214 Abs. 3 Satz 2 BauGB beachtliche Mängel des Abwägungsvorgangs,
wenn sie nicht innerhalb eines Jahres seit dieser Bekanntmachung der Bauleitplanung schriftlich gegenüber der Stadt Aurich unter Darlegung des die Verletzung begründenden Sachverhaltes geltend gemacht worden sind. Satz 1 gilt entsprechend, wenn Fehler nach § 214 Absatz 2a beachtlich sind.
Mit der Bekanntmachung im Amtsblatt für den Landkreis Aurich am 12.12.2025 wird die 72. Änderung des Flächennutzungsplanes wirksam.
Auf die gleichlautende Bekanntmachung an den öffentlichen Aushangtafeln des Rathauses in 26603 Aurich, Bgm.-Hippen-Platz 1 wird hingewiesen.
Aurich, den 01.12.2025
Der Bürgermeister
Feddermann
Bekanntmachung zur Bauleitplanung der Stadt Aurich
Bekanntmachung über das Inkrafttreten des Bebauungsplans Nr. 395 „Nördlich Thiel“
Der Rat der Stadt Aurich hat am 18.09.2025 in öffentlicher Sitzung den Bebauungsplan Nr. 395 „Nördlich Thiel“ nach § 10 Abs. 1 BauGB (Baugesetzbuch) einschließlich der Begründung und dem Umweltbericht als Satzung beschlossen.
Der Geltungsbereich des Bebauungsplans Nr. 395 „Nördlich Thiel“ ist in dem nachfolgenden Kartenausschnitt, der Bestandteil der Bekanntmachung ist, schwarz umrandet dargestellt.
Der Bebauungsplan Nr. 395 „Nördlich Thiel“ liegt gem. § 10 Abs. 3 BauGB mit der Begründung, dem Umweltbericht und den Gutachten zu jedermanns Einsicht zu den Geschäftszeiten (Mo. – Mi. von 8.00 – 15.30 Uhr, Do. von 8.00 – 18.00 Uhr und Fr. von 8.00 – 12.30 Uhr) im Technischen Rathaus der Stadt Aurich, Leerer Landstraße 5 – 9, 26603 Aurich, 1. OG bereit.
Des Weiteren wird der in Kraft getretene Bebauungsplan gem. § 10a Abs. 2 BauGB dauerhaft unter https://www.aurich.de/bauen-wohnen/bauleitplanung/bauleitplaene-wirksam/rechtskraeftig-2025.html ins Internet eingestellt und über ein zentrales Internetportal des Landes unter https://uvp.niedersachsen.de/ zugänglich gemacht.
Gem. § 215 Abs. 1 BauGB werden unbeachtlich:
- eine nach § 214 Abs. 1 Satz 1 Nr. 1 bis 3 BauGB beachtliche Verletzung der dort bezeichneten Verfahrens- und Formvorschriften
- eine unter Berücksichtigung des § 214 Abs. 2 BauGB beachtliche Verletzung der Vorschriften über das Verhältnis des Bebauungsplanes und des Flächennutzungsplanes und
- nach § 214 Abs. 3 Satz 2 BauGB beachtliche Mängel des Abwägungsvorgangs,
wenn sie nicht innerhalb eines Jahres seit dieser Bekanntmachung der Bauleitplanung schriftlich gegenüber der Stadt Aurich unter Darlegung des die Verletzung begründenden Sachverhaltes geltend gemacht worden sind. Satz 1 gilt entsprechend, wenn Fehler nach § 214 Absatz 2a beachtlich sind.
Mit der Bekanntmachung im Amtsblatt für den Landkreis Aurich am 12.12.2025 tritt der Bebauungsplan Nr. 395 „Nördlich Thiel“ in Kraft.
Auf die gleichlautende Bekanntmachung an den öffentlichen Aushangtafeln des Rathauses in 26603 Aurich, Bgm.-Hippen-Platz 1 wird hingewiesen.
Aurich, den 01.12.2025
Der Bürgermeister
Feddermann
Erneute Bekanntmachung zur Bauleitplanung der Stadt Aurich
Inkrafttreten der 3. Änderung des Bebauungsplanes Nr. 143 „Ellernfeld“
Der Rat der Stadt Aurich hat am 09.07.2015 in öffentlicher Sitzung die 3. Änderung des Bebauungsplans Nr. 143 „Ellernfeld“ nach § 10 Abs. 1 Baugesetzbuch (BauGB) mit der Begründung als Satzung beschlossen.
Die Ausfertigung der 3. Änderung des Bebauungsplans Nr. 143 „Ellernfeld“ hat vor seiner Bekanntmachung zu erfolgen. Zur Heilung dieses Verfahrensfehlers wird die 3. Änderung des Bebauungsplans Nr. 143 „Ellernfeld“ im Rahmen eines ergänzenden Verfahrens gem. § 214 Abs. 4 BauGB hiermit erneut bekannt gemacht. Die 3. Änderung des Bebauungsplans Nr. 143 „Ellernfeld“ wird damit rückwirkend zum 11.03.2016 in Kraft gesetzt.
Der Geltungsbereich der 3. Änderung des Bebauungsplans Nr. 143 ist in dem nachfolgenden Kartenausschnitt, der Bestandteil der Bekanntmachung ist, schwarz umrandet dargestellt.
Der Bebauungsplan mit der Begründung, kann zu den Geschäftszeiten (Mo. – Mi. von 8.00 – 15.30 Uhr, Do. von 8.00 – 18.00 Uhr und Fr. von 8.00 – 12.30 Uhr) im Technischen Rathaus der Stadt Aurich, Leerer Landstraße 5 – 9, 26603 Aurich, 1. OG, FD Planung eingesehen werden.
Auf die Vorschriften des § 44 Abs. 3 Satz 1 und 2 und Abs. 4 des BauGB über die fristgemäße Geltendmachung etwaiger Entschädigungsansprüche von durch Festsetzungen des Bebauungsplanes oder seine Durchführung eintretenden Vermögensnachteilen, die in den §§ 39 bis 42 BauGB bezeichnet sind, sowie über die Fälligkeit und das Erlöschen von Entschädigungsansprüchen bei nicht fristgemäßer Geltendmachung wird hingewiesen. Der Entschädigungsberechtigte kann die Fälligkeit des Anspruchs dadurch herbeiführen, dass er die Leistung der Entschädigung schriftlich bei dem Entschädigungspflichtigen beantragt. Ein Entschädigungsanspruch erlischt, wenn nicht innerhalb von drei Jahren nach Ablauf des Kalenderjahres, in dem die in den §§ 39 bis 42 BauGB bezeichneten Vermögensnachteilen eingetreten sind, die Fälligkeit des Anspruchs herbeigeführt wird.
Gem. § 215 Abs. 1 BauGB werden unbeachtlich:
- eine nach § 214 Abs. 1 Satz 1 Nr. 1 bis 3 BauGB beachtliche Verletzung der dort bezeichneten Verfahrens- und Formvorschriften
- eine unter Berücksichtigung des § 214 Abs. 2 BauGB beachtliche Verletzung der Vorschriften über das Verhältnis des Bebauungsplanes und des Flächennutzungsplanes und
- nach § 214 Abs. 3 Satz 2 BauGB beachtliche Mängel des Abwägungsvorgangs,
wenn sie nicht innerhalb eines Jahres seit dieser Bekanntmachung des Bauleitplanes schriftlich gegenüber der Stadt Aurich, Bgm.-Hippen-Platz 1, 26603 Aurich unter Darlegung des die Verletzung begründenden Sachverhaltes geltend gemacht worden sind. Satz 1 gilt entsprechend, wenn Fehler nach § 214 Absatz 2a beachtlich sind.
Mit der Bekanntmachung im Amtsblatt für den Landkreis Aurich am 12.12.2025 tritt die 3. Änderung des Bebauungsplans Nr. 143 „Ellernfeld“ rückwirkend in Kraft.
Auf die Bekanntmachung im Aushangkasten des Rathauses, sowie im Internet unter https://www.aurich.de/bauen-wohnen/bauleitplanung/bauleitplaene-wirksamrechtskraeftig-2025.html wird hingewiesen.
Des Weiteren wird gemäß § 10a Abs. 2 BauGB der in Kraft getretene Bebauungsplan mit der Begründung dauerhaft ins Internet eingestellt und über ein zentrales Internetportal des Landes unter https://uvp.niedersachsen.de zugänglich gemacht.
Aurich, den 27.11.2025
Der Bürgermeister
Feddermann
Bekanntmachung zur Bauleitplanung der Stadt Aurich
Bekanntmachung über das Inkrafttreten der 76. Änderung des Flächennutzungsplanes „2. Erweiterung Gewerbegebiet Schirum I“
Der Landkreis Aurich hat die vom Rat der Stadt Aurich am 18.09.2025 in öffentlicher Sitzung beschlossene 76. Änderung des Flächennutzungsplanes mit Verfügung vom 22.10.2025, Az. 2491/2024, gem. § 6 Abs. 1 Baugesetzbuch (BauGB) genehmigt.
Der Geltungsbereich der 76. Flächennutzungsplanänderung ist im nachfolgenden Kartenausschnitt, der Bestandteil der Bekanntmachung ist, schwarz umrandet dargestellt.
Die 76. Änderung des Flächennutzungsplanes liegt gem. § 6 Abs. 5 BauGB mit der Begründung und dem Umweltbericht zu jedermanns Einsicht zu den Geschäftszeiten (Mo. – Mi. von 8.00 – 15.30 Uhr, Do. von 8.00 – 18.00 Uhr und Fr. von 8.00 – 12.30 Uhr) im Technischen Rathaus der Stadt Aurich, Leerer Landstraße 5 - 9, 26603 Aurich, 1. OG bereit.
Des Weiteren wird die wirksame Flächennutzungsplanänderung gem. § 6a Abs. 2 BauGB dauerhaft unter https://www.aurich.de/bauen-wohnen/bauleitplanung/bauleitplaene-wirksam/rechtskraeftig-2025.html ins Internet eingestellt und über ein zentrales Internetportal des Landes unter https://uvp.niedersachsen.de/ zugänglich gemacht.
Gem. § 215 Abs. 1 BauGB werden unbeachtlich:
- eine nach § 214 Abs. 1 Satz 1 Nr. 1 bis 3 BauGB beachtliche Verletzung der dort bezeichneten Verfahrens- und Formvorschriften
- eine unter Berücksichtigung des § 214 Abs. 2 BauGB beachtliche Verletzung der Vorschriften über das Verhältnis des Bebauungsplanes und des Flächennutzungsplanes und
- nach § 214 Abs. 3 Satz 2 BauGB beachtliche Mängel des Abwägungsvorgangs,
wenn sie nicht innerhalb eines Jahres seit dieser Bekanntmachung der Bauleitplanung schriftlich gegenüber der Stadt Aurich unter Darlegung des die Verletzung begründenden Sachverhaltes geltend gemacht worden sind. Satz 1 gilt entsprechend, wenn Fehler nach § 214 Absatz 2a beachtlich sind.
Mit der Bekanntmachung im Amtsblatt für den Landkreis Aurich am 28.11.2025 wird die 76. Änderung des Flächennutzungsplanes wirksam.
Auf die gleichlautende Bekanntmachung an den öffentlichen Aushangtafeln des Rathauses in 26603 Aurich, Bgm.-Hippen-Platz 1 wird hingewiesen.
Aurich, den 19.11.2025
Der Bürgermeister
Feddermann
Bekanntmachung zur Bauleitplanung der Stadt Aurich
Bekanntmachung über das Inkrafttreten des Bebauungsplans Nr. 404 „2. Erweiterung Gewerbegebiet Schirum I“
Der Rat der Stadt Aurich hat am 18.09.2025 in öffentlicher Sitzung den Bebauungsplan Nr. 404 „2. Erweiterung Gewerbegebiet Schirum I“ nach § 10 Abs. 1 BauGB (Baugesetzbuch) einschließlich der Begründung und dem Umweltbericht als Satzung beschlossen.
Der Geltungsbereich des Bebauungsplans Nr. 404 „Erweiterung Gewerbegebiet Schirum I“ ist in dem nachfolgenden Kartenausschnitt, der Bestandteil der Bekanntmachung ist, schwarz umrandet dargestellt.
Der Bebauungsplan Nr. 404 „2. Erweiterung Gewerbegebiet Schirum I“ liegt gem. § 10 Abs. 3 BauGB mit der Begründung, dem Umweltbericht und den Gutachten zu jedermanns Einsicht zu den Geschäftszeiten (Mo. – Mi. von 8.00 – 15.30 Uhr, Do. von 8.00 – 18.00 Uhr und Fr. von 8.00 – 12.30 Uhr) im Technischen Rathaus der Stadt Aurich, Leerer Landstraße 5 – 9, 26603 Aurich, 1. OG bereit.
Des Weiteren wird der in Kraft getretene Bebauungsplan gem. § 10a Abs. 2 BauGB dauerhaft unter https://www.aurich.de/bauen-wohnen/bauleitplanung/bauleitplaene-wirksam/rechtskraeftig-2025.html ins Internet eingestellt und über ein zentrales Internetportal des Landes unter https://uvp.niedersachsen.de/ zugänglich gemacht.
Gem. § 215 Abs. 1 BauGB werden unbeachtlich:
- eine nach § 214 Abs. 1 Satz 1 Nr. 1 bis 3 BauGB beachtliche Verletzung der dort bezeichneten Verfahrens- und Formvorschriften
- eine unter Berücksichtigung des § 214 Abs. 2 BauGB beachtliche Verletzung der Vorschriften über das Verhältnis des Bebauungsplanes und des Flächennutzungsplanes und
- nach § 214 Abs. 3 Satz 2 BauGB beachtliche Mängel des Abwägungsvorgangs,
wenn sie nicht innerhalb eines Jahres seit dieser Bekanntmachung der Bauleitplanung schriftlich gegenüber der Stadt Aurich unter Darlegung des die Verletzung begründenden Sachverhaltes geltend gemacht worden sind. Satz 1 gilt entsprechend, wenn Fehler nach § 214 Absatz 2a beachtlich sind.
Mit der Bekanntmachung im Amtsblatt für den Landkreis Aurich am 28.11.2025 tritt der Bebauungsplan Nr. 404 „2. Erweiterung Gewerbegebiet Schirum I“ in Kraft.
Auf die gleichlautende Bekanntmachung an den öffentlichen Aushangtafeln des Rathauses in 26603 Aurich, Bgm.-Hippen-Platz 1 wird hingewiesen.
Aurich, den 19.11.2025
Der Bürgermeister
Feddermann
Bekanntmachung zur Bauleitplanung der Stadt Aurich
Bekanntmachung über das Inkrafttreten des Bebauungsplans Nr. 393 „Ehemalige Blücher-Kaserne“
Der Rat der Stadt Aurich hat am 22.05.2025 in öffentlicher Sitzung den Bebauungsplan Nr. 393 „Ehemalige Blücher-Kaserne“ nach § 10 Abs. 1 BauGB (Baugesetzbuch) mit den örtlichen Bauvorschriften über die Gestaltung gemäß § 84 Absatz 3 NBauO (Niedersächsische Bauordnung) einschließlich der Begründung und dem Umweltbericht als Satzung beschlossen.
Der Geltungsbereich des Bebauungsplans Nr. 393 „Ehemalige-Blücher-Kaserne“ ist in dem nachfolgenden Kartenausschnitt, der Bestandteil der Bekanntmachung ist, schwarz umrandet dargestellt.
Der Bebauungsplan Nr. 393 „Ehemalige Blücher-Kaserne“ liegt gem. § 10 Abs. 3 BauGB mit der Begründung, dem Umweltbericht und den Gutachten zu jedermanns Einsicht zu den Geschäftszeiten (Mo. – Mi. von 8.00 – 15.30 Uhr, Do. von 8.00 – 18.00 Uhr und Fr. von 8.00 – 12.30 Uhr) im Technischen Rathaus der Stadt Aurich, Leerer Landstraße 5 – 9, 26603 Aurich, 1. OG bereit.
Des Weiteren wird der in Kraft getretene Bebauungsplan gem. § 10a Abs. 2 BauGB dauerhaft unter https://www.aurich.de/bauen-wohnen/bauleitplanung/bauleitplaene-wirksam/rechtskraeftig-2025.html ins Internet eingestellt und über ein zentrales Internetportal des Landes unter https://uvp.niedersachsen.de/ zugänglich gemacht.
Gem. § 215 Abs. 1 BauGB werden unbeachtlich:
- eine nach § 214 Abs. 1 Satz 1 Nr. 1 bis 3 BauGB beachtliche Verletzung der dort bezeichneten Verfahrens- und Formvorschriften
- eine unter Berücksichtigung des § 214 Abs. 2 BauGB beachtliche Verletzung der Vorschriften über das Verhältnis des Bebauungsplanes und des Flächennutzungsplanes und
- nach § 214 Abs. 3 Satz 2 BauGB beachtliche Mängel des Abwägungsvorgangs,
wenn sie nicht innerhalb eines Jahres seit dieser Bekanntmachung der Bauleitplanung schriftlich gegenüber der Stadt Aurich unter Darlegung des die Verletzung begründenden Sachverhaltes geltend gemacht worden sind. Satz 1 gilt entsprechend, wenn Fehler nach § 214 Absatz 2a beachtlich sind.
Mit der Bekanntmachung im Amtsblatt für den Landkreis Aurich am 14.11.2025 tritt der Bebauungsplan Nr. 393 „Ehemalige Blücher-Kaserne“ in Kraft.
Auf die gleichlautende Bekanntmachung an den öffentlichen Aushangtafeln des Rathauses in 26603 Aurich, Bgm.-Hippen-Platz 1 wird hingewiesen.
Aurich, den 04.11.2025
Der Bürgermeister
Feddermann
Anlagen:
- Bebauungsplan Nr. 393 “Ehemalige Blücher-Kaserne”
- Begründung mit Umweltbericht
- Abwägung der Stellungnahmen zum Vorentwurf
- Abwägung der Stellungnahmen zur Entwurfsauslegung
- Detailuntersuchung der ehemaligen Blücher-Kaserne
- Kampfmittelbeseitigung Ergebnis der beantragten Luftbildauswertung
- Entwässerungskonzept
- Schalltechnisches Gutachten
- Verkehrsuntersuchung Stand 2024
Bekanntmachung zur Bauleitplanung der Stadt Aurich
Bekanntmachung über das Inkrafttreten der 71. Änderung des Flächennutzungsplanes „Ehemalige Blücher-Kaserne“
Der Landkreis Aurich hat die vom Rat der Stadt Aurich am 27.02.2025 in öffentlicher Sitzung beschlossene 71. Änderung des Flächennutzungsplanes mit Verfügung vom 08.05.2025, Az. 1761/2022, gem. § 6 Abs. 1 Baugesetzbuch (BauGB) genehmigt.
Der Geltungsbereich der 71. Flächennutzungsplanänderung ist im nachfolgenden Kartenausschnitt, der Bestandteil der Bekanntmachung ist, schwarz umrandet dargestellt.
Die 71. Änderung des Flächennutzungsplanes liegt gem. § 6 Abs. 5 BauGB mit der Begründung und dem Umweltbericht zu jedermanns Einsicht zu den Geschäftszeiten (Mo. – Mi. von 8.00 – 15.30 Uhr, Do. von 8.00 – 18.00 Uhr und Fr. von 8.00 – 12.30 Uhr) im Technischen Rathaus der Stadt Aurich, Leerer Landstraße 5 – 9, 26603 Aurich, 1. OG bereit.
Des Weiteren wird die wirksame Flächennutzungsplanänderung gem. § 6a Abs. 2 BauGB dauerhaft unter https://www.aurich.de/bauen-wohnen/bauleitplanung/bauleitplaene-wirksam/rechtskraeftig-2025.html ins Internet eingestellt und über ein zentrales Internetportal des Landes unter https://uvp.niedersachsen.de/ zugänglich gemacht.
Gem. § 215 Abs. 1 BauGB werden unbeachtlich:
- eine nach § 214 Abs. 1 Satz 1 Nr. 1 bis 3 BauGB beachtliche Verletzung der dort bezeichneten Verfahrens- und Formvorschriften
- eine unter Berücksichtigung des § 214 Abs. 2 BauGB beachtliche Verletzung der Vorschriften über das Verhältnis des Bebauungsplanes und des Flächennutzungsplanes und
- nach § 214 Abs. 3 Satz 2 BauGB beachtliche Mängel des Abwägungsvorgangs,
wenn sie nicht innerhalb eines Jahres seit dieser Bekanntmachung der Bauleitplanung schriftlich gegenüber der Stadt Aurich unter Darlegung des die Verletzung begründenden Sachverhaltes geltend gemacht worden sind. Satz 1 gilt entsprechend, wenn Fehler nach § 214 Absatz 2a beachtlich sind.
Mit der Bekanntmachung im Amtsblatt für den Landkreis Aurich am 17.10.2025 wird die 71. Änderung des Flächennutzungsplanes wirksam.
Auf die gleichlautende Bekanntmachung an den öffentlichen Aushangtafeln des Rathauses in 26603 Aurich, Bgm.-Hippen-Platz 1 wird hingewiesen.
Aurich, den 10.10.2025
Der Bürgermeister
Feddermann
Bekanntmachung zur Bauleitplanung der Stadt Aurich
Bekanntmachung über das Inkrafttreten des Bebauungsplans Nr. 370 „Indu-Nord, nördlich der Bahnlinie“
Der Rat der Stadt Aurich hat am 14.11.2024 in öffentlicher Sitzung den Bebauungsplan Nr. 370 „Indu-Nord, nördlich der Bahnlinie“ nach § 10 Abs. 1 BauGB (Baugesetzbuch) mit den örtlichen Bauvorschriften über die Gestaltung gemäß § 84 Absatz 3 NBauO (Niedersächsische Bauordnung) einschließlich der Begründung und dem Umweltbericht als Satzung beschlossen.
Der Geltungsbereich des Bebauungsplans Nr. 370 „Indu-Nord, nördlich der Bahnlinie“ ist in dem nachfolgenden Kartenausschnitt, der Bestandteil der Bekanntmachung ist, schwarz umrandet dargestellt.
Der Bebauungsplan Nr. 370 „Indu-Nord, nördlich der Bahnlinie“ liegt gem. § 10 Abs. 3 BauGB mit der Begründung, dem Umweltbericht und der zusammenfassenden Erklärung zu jedermanns Einsicht zu den Geschäftszeiten (Mo. – Mi. von 8.00 – 15.30 Uhr, Do. von 8.00 – 18.00 Uhr und Fr. von 8.00 – 12.30 Uhr) im Technischen Rathaus der Stadt Aurich, Leerer Landstraße 5 – 9, 26603 Aurich, 1. OG bereit.
Des Weiteren wird der in Kraft getretene Bebauungsplan gem. § 10a Abs. 2 BauGB dauerhaft unter https://www.aurich.de/bauen-wohnen/bauleitplanung/bauleitplaene-wirksam/rechtskraeftig-2025.html ins Internet eingestellt und über ein zentrales Internetportal des Landes unter https://uvp.niedersachsen.de/ zugänglich gemacht.
Gem. § 215 Abs. 1 BauGB werden unbeachtlich:
- eine nach § 214 Abs. 1 Satz 1 Nr. 1 bis 3 BauGB beachtliche Verletzung der dort bezeichneten Verfahrens- und Formvorschriften
- eine unter Berücksichtigung des § 214 Abs. 2 BauGB beachtliche Verletzung der Vorschriften über das Verhältnis des Bebauungsplanes und des Flächennutzungsplanes und
- nach § 214 Abs. 3 Satz 2 BauGB beachtliche Mängel des Abwägungsvorgangs,
wenn sie nicht innerhalb eines Jahres seit dieser Bekanntmachung der Bauleitplanung schriftlich gegenüber der Stadt Aurich unter Darlegung des die Verletzung begründenden Sachverhaltes geltend gemacht worden sind. Satz 1 gilt entsprechend, wenn Fehler nach § 214 Absatz 2a beachtlich sind.
Mit der Bekanntmachung im Amtsblatt für den Landkreis Aurich am 19.09.2025 tritt der Bebauungsplan Nr. 370 „Indu-Nord, nördlich der Bahnlinie“ in Kraft.
Auf die gleichlautende Bekanntmachung an den öffentlichen Aushangtafeln des Rathauses in 26603 Aurich, Bgm.-Hippen-Platz 1 wird hingewiesen.
Aurich, den 12.09.2025
Der Bürgermeister
Feddermann
Anlagen:
- Bebauungsplan Nr. 370 “Indu-Nord, nördlich der Bahnlinie”
- Begründung zum Bebauungsplan Nr. 370 “Indu-Nord, nördlich der Bahnlinie”
- Umweltbericht zum Bebauungsplan Nr. 370 “Indu-Nord, nördlich der Bahnlinie”
- Biotoptypenplan
- Oberflächenentwässerung
- Schalltechnisches Gutachten
- Fachstellungnahme der Fledermäuse von 2015
- Fachstellungnahme der Fledermäuse von 2015 mit Ergänzung von 2023
Bekanntmachung zur Bauleitplanung der Stadt Aurich
Bekanntmachung über das Inkrafttreten der 60. Änderung des Flächennutzungsplanes „Osterfeldstraße“
Der Landkreis Aurich hat die vom Rat der Stadt Aurich am 22.05.2025 in öffentlicher Sitzung beschlossene 60. Änderung des Flächennutzungsplanes mit Verfügung vom 04.09.2025, Az. 515/2024, gem. § 6 Abs. 1 Baugesetzbuch (BauGB) genehmigt.
Der Geltungsbereich der 60. Flächennutzungsplanänderung ist im nachfolgenden Kartenausschnitt, der Bestandteil der Bekanntmachung ist, schwarz umrandet dargestellt.
Die 60. Änderung des Flächennutzungsplanes liegt gem. § 6 Abs. 5 BauGB mit der Begründung und dem Umweltbericht zu jedermanns Einsicht zu den Geschäftszeiten (Mo. – Mi. von 8.00 – 15.30 Uhr, Do. von 8.00 – 18.00 Uhr und Fr. von 8.00 – 12.30 Uhr) im Technischen Rathaus der Stadt Aurich, Leerer Landstraße 5 – 9, 26603 Aurich, 1. OG bereit.
Des Weiteren wird die wirksame Flächennutzungsplanänderung gem. § 6a Abs. 2 BauGB dauerhaft unter https://www.aurich.de/bauen-wohnen/bauleitplanung/bauleitplaene-wirksam/rechtskraeftig-2025.html ins Internet eingestellt und über ein zentrales Internetportal des Landes unter https://uvp.niedersachsen.de/ zugänglich gemacht.
Gem. § 215 Abs. 1 BauGB werden unbeachtlich:
- eine nach § 214 Abs. 1 Satz 1 Nr. 1 bis 3 BauGB beachtliche Verletzung der dort bezeichneten Verfahrens- und Formvorschriften
- eine unter Berücksichtigung des § 214 Abs. 2 BauGB beachtliche Verletzung der Vorschriften über das Verhältnis des Bebauungsplanes und des Flächennutzungsplanes und
- nach § 214 Abs. 3 Satz 2 BauGB beachtliche Mängel des Abwägungsvorgangs,
wenn sie nicht innerhalb eines Jahres seit dieser Bekanntmachung der Bauleitplanung schriftlich gegenüber der Stadt Aurich unter Darlegung des die Verletzung begründenden Sachverhaltes geltend gemacht worden sind. Satz 1 gilt entsprechend, wenn Fehler nach § 214 Absatz 2a beachtlich sind.
Mit der Bekanntmachung im Amtsblatt für den Landkreis Aurich am 19.09.2025 wird die 60. Änderung des Flächennutzungsplanes wirksam.
Auf die gleichlautende Bekanntmachung an den öffentlichen Aushangtafeln des Rathauses in 26603 Aurich, Bgm.-Hippen-Platz 1 wird hingewiesen.
Aurich, den 12.09.2025
Der Bürgermeister
Feddermann
Bekanntmachung zur Bauleitplanung der Stadt Aurich
Bekanntmachung über das Inkrafttreten des Bebauungsplans Nr. 357 „Osterfeldstraße“
Der Rat der Stadt Aurich hat am 22.05.2025 in öffentlicher Sitzung den Bebauungsplan Nr. 357 „Osterfeldstraße“ nach § 10 Abs. 1 BauGB (Baugesetzbuch) mit den örtlichen Bauvorschriften über die Gestaltung gemäß § 84 Absatz 3 NBauO (Niedersächsische Bauordnung) einschließlich der Begründung und dem Umweltbericht als Satzung beschlossen.
Der Geltungsbereich des Bebauungsplans Nr. 357 „Osterfeldstraße“ ist in dem nachfolgenden Kartenausschnitt, der Bestandteil der Bekanntmachung ist, schwarz umrandet dargestellt.
Der Bebauungsplan Nr. 357 „Osterfeldstraße“ liegt gem. § 10 Abs. 3 BauGB mit der Begründung und dem Umweltbericht zu jedermanns Einsicht zu den Geschäftszeiten (Mo. – Mi. von 8.00 – 15.30 Uhr, Do. von 8.00 – 18.00 Uhr und Fr. von 8.00 – 12.30 Uhr) im Technischen Rathaus der Stadt Aurich, Leerer Landstraße 5 – 9, 26603 Aurich, 1. OG bereit.
Des Weiteren wird der in Kraft getretene Bebauungsplan gem. § 10a Abs. 2 BauGB dauerhaft unter https://www.aurich.de/bauen-wohnen/bauleitplanung/bauleitplaene-wirksam/rechtskraeftig-2025.html ins Internet eingestellt und über ein zentrales Internetportal des Landes unter https://uvp.niedersachsen.de/ zugänglich gemacht.
Gem. § 215 Abs. 1 BauGB werden unbeachtlich:
- eine nach § 214 Abs. 1 Satz 1 Nr. 1 bis 3 BauGB beachtliche Verletzung der dort bezeichneten Verfahrens- und Formvorschriften
- eine unter Berücksichtigung des § 214 Abs. 2 BauGB beachtliche Verletzung der Vorschriften über das Verhältnis des Bebauungsplanes und des Flächennutzungsplanes und
- nach § 214 Abs. 3 Satz 2 BauGB beachtliche Mängel des Abwägungsvorgangs,
wenn sie nicht innerhalb eines Jahres seit dieser Bekanntmachung der Bauleitplanung schriftlich gegenüber der Stadt Aurich unter Darlegung des die Verletzung begründenden Sachverhaltes geltend gemacht worden sind. Satz 1 gilt entsprechend, wenn Fehler nach § 214 Absatz 2a beachtlich sind.
Mit der Bekanntmachung im Amtsblatt für den Landkreis Aurich am 25.07.2025 tritt der Bebauungsplan Nr. 357 „Osterfeldstraße“ in Kraft.
Auf die gleichlautende Bekanntmachung an den öffentlichen Aushangtafeln des Rathauses in 26603 Aurich, Bgm.-Hippen-Platz 1 wird hingewiesen.
Aurich, den 17.07.2025
Der Bürgermeister
Feddermann
Bekanntmachung zur Bauleitplanung der Stadt Aurich
Bekanntmachung über das Inkrafttreten der 2. Änderung des Bebauungsplans Nr. 3A „Schlehdornweg“
Der Rat der Stadt Aurich hat am 22.05.2025 in öffentlicher Sitzung die 2. Änderung des Bebauungsplans Nr. 3A „Schlehdornweg“ nach § 10 Abs. 1 BauGB (Baugesetzbuch) mit den örtlichen Bauvorschriften über die Gestaltung gemäß § 84 Absatz 3 NBauO (Niedersächsische Bauordnung) einschließlich der Begründung im beschleunigten Verfahren gemäß § 13a BauGB als Satzung beschlossen.
Der Geltungsbereich der 2. Änderung des Bebauungsplans Nr. 3A „Schlehdornweg“ ist in dem nachfolgenden Kartenausschnitt, der Bestandteil der Bekanntmachung ist, schwarz umrandet dargestellt.
Die 2. Änderung des Bebauungsplans Nr. 3A „Schlehdornweg“ liegt gem. § 10 Abs. 3 BauGB mit der Begründung zu jedermanns Einsicht zu den Geschäftszeiten (Mo. – Mi. von 8.00 – 15.30 Uhr,
Do. von 8.00 – 18.00 Uhr und Fr. von 8.00 – 12.30 Uhr) im Technischen Rathaus der Stadt Aurich, Leerer Landstraße 5 – 9, 26603 Aurich, 1. OG bereit.
Des Weiteren wird der in Kraft getretene Bebauungsplan gem. § 10a Abs. 2 BauGB dauerhaft unter https://www.aurich.de/bauen-wohnen/bauleitplanung/bauleitplaene-wirksam/rechtskraeftig-2025.html ins Internet eingestellt und über ein zentrales Internetportal des Landes unter https://uvp.niedersachsen.de/ zugänglich gemacht.
Gem. § 215 Abs. 1 BauGB werden unbeachtlich:
- eine nach § 214 Abs. 1 Satz 1 Nr. 1 bis 3 BauGB beachtliche Verletzung der dort bezeichneten Verfahrens- und Formvorschriften
- eine unter Berücksichtigung des § 214 Abs. 2 BauGB beachtliche Verletzung der Vorschriften über das Verhältnis des Bebauungsplanes und des Flächennutzungsplanes und
- nach § 214 Abs. 3 Satz 2 BauGB beachtliche Mängel des Abwägungsvorgangs,
wenn sie nicht innerhalb eines Jahres seit dieser Bekanntmachung der Bauleitplanung schriftlich gegenüber der Stadt Aurich unter Darlegung des die Verletzung begründenden Sachverhaltes geltend gemacht worden sind. Satz 1 gilt entsprechend, wenn Fehler nach § 214 Absatz 2a beachtlich sind.
Mit der Bekanntmachung im Amtsblatt für den Landkreis Aurich am 25.07.2025 tritt die 2. Änderung des Bebauungsplans Nr. 3A „Schlehdornweg“ in Kraft.
Auf die gleichlautende Bekanntmachung an den öffentlichen Aushangtafeln des Rathauses in 26603 Aurich, Bgm.-Hippen-Platz 1 wird hingewiesen.
Aurich, den 17.07.2025
Der Bürgermeister
Feddermann
Bekanntmachung zur Bauleitplanung der Stadt Aurich
Bekanntmachung über das Inkrafttreten des Bebauungsplans Nr. 196 „Düfferstraße
Der Rat der Stadt Aurich hat am 22.05.2025 in öffentlicher Sitzung den Bebauungsplan Nr. 196 „Düfferstraße“ nach § 10 Abs. 1 BauGB (Baugesetzbuch) mit den örtlichen Bauvorschriften über die Gestaltung gemäß § 84 Absatz 3 NBauO (Niedersächsische Bauordnung) einschließlich der Begründung im beschleunigten Verfahren gemäß § 13a BauGB als Satzung beschlossen.
Der Geltungsbereich des Bebauungsplans Nr. 196 „Düfferstraße“ ist in dem nachfolgenden Kartenausschnitt, der Bestandteil der Bekanntmachung ist, schwarz umrandet dargestellt.
Der Bebauungsplan Nr. 196 „Düfferstraße“ liegt gem. § 10 Abs. 3 BauGB mit der Begründung zu jedermanns Einsicht zu den Geschäftszeiten (Mo. – Mi. von 8.00 - 15.30 Uhr, Do. von 8.00 – 18.00 Uhr und Fr. von 8.00 – 12.30 Uhr) im Technischen Rathaus der Stadt Aurich, Leerer Landstraße 5 – 9, 26603 Aurich, 1. OG bereit.
Des Weiteren wird der in Kraft getretene Bebauungsplan gem. § 10a Abs. 2 BauGB dauerhaft unter https://www.aurich.de/bauen-wohnen/bauleitplanung/bauleitplaene-wirksam/rechtskraeftig-2025.html ins Internet eingestellt und über ein zentrales Internetportal des Landes unter https://uvp.niedersachsen.de/ zugänglich gemacht.
Gem. § 215 Abs. 1 BauGB werden unbeachtlich:
- eine nach § 214 Abs. 1 Satz 1 Nr. 1 bis 3 BauGB beachtliche Verletzung der dort bezeichneten Verfahrens- und Formvorschriften
- eine unter Berücksichtigung des § 214 Abs. 2 BauGB beachtliche Verletzung der Vorschriften über das Verhältnis des Bebauungsplanes und des Flächennutzungsplanes und
- nach § 214 Abs. 3 Satz 2 BauGB beachtliche Mängel des Abwägungsvorgangs,
wenn sie nicht innerhalb eines Jahres seit dieser Bekanntmachung der Bauleitplanung schriftlich gegenüber der Stadt Aurich unter Darlegung des die Verletzung begründenden Sachverhaltes geltend gemacht worden sind. Satz 1 gilt entsprechend, wenn Fehler nach § 214 Absatz 2a beachtlich sind.
Mit der Bekanntmachung im Amtsblatt für den Landkreis Aurich am 25.07.2025 tritt der Bebauungsplan Nr. 196 „Düfferstraße“ in Kraft.
Auf die gleichlautende Bekanntmachung an den öffentlichen Aushangtafeln des Rathauses in 26603 Aurich, Bgm.-Hippen-Platz 1 wird hingewiesen.
Aurich, den 17.07.2025
Der Bürgermeister
Feddermann
Anlagen:
- Bebauungsplan Nr. 196 “Düfferstraße”
- Begründung zum Bebauungsplan Nr. 196 “Düfferstraße”
- Biotoptypenkartierung
- Erläuterungsbericht zur Oberflächenentwässerung
- Oberflächenentwässerung Übersichtsplan/Bestandsplan
- Altlastenuntersuchung
- Lärmgutachten Burger King
- Schalltechnische Berechnungen
- Schalltechnische Stellungnahme zur Schallimmissionssituation Burger King
Bekanntmachung zur Bauleitplanung der Stadt Aurich
Bekanntmachung über das Inkrafttreten des Bebauungsplans Nr. 310 „Östlich Wallstraße“
Der Rat der Stadt Aurich hat am 27.02.2025 in öffentlicher Sitzung den Bebauungsplan Nr. 310 „Östlich Wallstraße“ nach § 10 Abs. 1 BauGB (Baugesetzbuch) mit den örtlichen Bauvorschriften über die Gestaltung gemäß § 84 Absatz 3 NBauO (Niedersächsische Bauordnung) einschließlich der Begründung und dem Umweltbericht als Satzung beschlossen.
Der Geltungsbereich des Bebauungsplans Nr. 310 „Östlich Wallstraße“ ist in dem nachfolgenden Kartenausschnitt, der Bestandteil der Bekanntmachung ist, schwarz umrandet dargestellt.
Der Bebauungsplan Nr. 310 „Östlich Wallstraße“ liegt gem. § 10 Abs. 3 BauGB mit der Begründung, dem Umweltbericht und der zusammenfassenden Erklärung zu jedermanns Einsicht zu den Geschäftszeiten (Mo. – Mi. von 8.00 – 15.30 Uhr, Do. von 8.00 – 18.00 Uhr und Fr. von 8.00 - 12.30 Uhr) im Rathaus der Stadt Aurich, Bgm.-Hippen-Platz 1, 26603 Aurich, 2. OG bereit.
Des Weiteren wird der in Kraft getretene Bebauungsplan gem. § 10a Abs. 2 BauGB dauerhaft unter https://www.aurich.de/bauen-wohnen/bauleitplanung/bauleitplaene-wirksam/rechtskraeftig-2025.html ins Internet eingestellt und über ein zentrales Internetportal des Landes unter https://uvp.niedersachsen.de/ zugänglich gemacht.
Gem. § 215 Abs. 1 BauGB werden unbeachtlich:
- eine nach § 214 Abs. 1 Satz 1 Nr. 1 bis 3 BauGB beachtliche Verletzung der dort bezeichneten Verfahrens- und Formvorschriften
- eine unter Berücksichtigung des § 214 Abs. 2 BauGB beachtliche Verletzung der Vorschriften über das Verhältnis des Bebauungsplanes und des Flächennutzungsplanes und
- nach § 214 Abs. 3 Satz 2 BauGB beachtliche Mängel des Abwägungsvorgangs,
wenn sie nicht innerhalb eines Jahres seit dieser Bekanntmachung der Bauleitplanung schriftlich gegenüber der Stadt Aurich unter Darlegung des die Verletzung begründenden Sachverhaltes geltend gemacht worden sind. Satz 1 gilt entsprechend, wenn Fehler nach § 214 Absatz 2a beachtlich sind.
Mit der Bekanntmachung im Amtsblatt für den Landkreis Aurich am 25.04.2025 tritt der Bebauungsplan Nr. 310 „Östlich Wallstraße“ in Kraft.
Auf die gleichlautende Bekanntmachung an den öffentlichen Aushangtafeln des Rathauses in 26603 Aurich, Bgm.-Hippen-Platz 1 wird hingewiesen.
Aurich, den 16.04.2025
Der Bürgermeister
Feddermann
Anlagen
- Bebauungsplan Nr. 310 “Östlich Wallstraße”
- Begründung zum Bebauungsplan Nr. 310 “Östlich Wallstraße”
- Umweltbericht zum Bebauungsplan Nr. 310 “Östlich Wallstraße”
- Städtebauliches Konzept
- Lageplan Bäume
- Schalltechnisches Gutachten
- Fledermaus-Quartierkontrolle Altstadt
- Fledermaushabitatbäume Altstadtteil
- Bebauungsplan Nr. 173 - überlagerter Bereich durch B-Plan Nr. 310
Bekanntmachung zur Bauleitplanung der Stadt Aurich
Bekanntmachung über das Inkrafttreten der 63. Änderung des Flächennutzungsplanes „Indu-Nord, nördlich der Bahnlinie“
Der Landkreis Aurich hat die vom Rat der Stadt Aurich am 14.11.2024 in öffentlicher Sitzung beschlossene 63. Änderung des Flächennutzungsplanes mit Verfügung vom 14.03.2025, Az. 1513/2024, gem. § 6 Abs. 1 Baugesetzbuch (BauGB) unter der Maßgabe, dass die Planunterlage mit einem Nordpfeil ergänzt wird, genehmigt.
Der Geltungsbereich der 63. Flächennutzungsplanänderung ist im nachfolgenden Kartenausschnitt, der Bestandteil der Bekanntmachung ist, schwarz umrandet dargestellt.
Die 63. Änderung des Flächennutzungsplanes liegt gem. § 6 Abs. 5 BauGB mit der Begründung, dem Umweltbericht und der zusammenfassenden Erklärung zu jedermanns Einsicht zu den Geschäftszeiten
(Mo. – Mi. von 8.00 – 15.30 Uhr, Do. von 8.00 – 18.00 Uhr und Fr. von 8.00 – 12.30 Uhr) im Rathaus der Stadt Aurich, Bgm.-Hippen-Platz 1, 26603 Aurich, 2. OG bereit.
Des Weiteren wird die wirksame Flächennutzungsplanänderung gem. § 6a Abs. 2 BauGB dauerhaft unter https://www.aurich.de/bauen-wohnen/bauleitplanung/bauleitplaene-wirksam/rechtskraeftig-2025.html ins Internet eingestellt und über ein zentrales Internetportal des Landes unter https://uvp.niedersachsen.de/ zugänglich gemacht.
Gem. § 215 Abs. 1 BauGB werden unbeachtlich:
- eine nach § 214 Abs. 1 Satz 1 Nr. 1 bis 3 BauGB beachtliche Verletzung der dort bezeichneten Verfahrens- und Formvorschriften
- eine unter Berücksichtigung des § 214 Abs. 2 BauGB beachtliche Verletzung der Vorschriften über das Verhältnis des Bebauungsplanes und des Flächennutzungsplanes und
- nach § 214 Abs. 3 Satz 2 BauGB beachtliche Mängel des Abwägungsvorgangs,
wenn sie nicht innerhalb eines Jahres seit dieser Bekanntmachung der Bauleitplanung schriftlich gegenüber der Stadt Aurich unter Darlegung des die Verletzung begründenden Sachverhaltes geltend gemacht worden sind. Satz 1 gilt entsprechend, wenn Fehler nach § 214 Absatz 2a beachtlich sind.
Mit der Bekanntmachung im Amtsblatt für den Landkreis Aurich am 04.04.2025 wird die 63. Änderung des Flächennutzungsplanes wirksam.
Auf die gleichlautende Bekanntmachung an den öffentlichen Aushangtafeln des Rathauses in 26603 Aurich, Bgm.-Hippen-Platz 1 wird hingewiesen.
Aurich, den 28.03.2025
Der Bürgermeister
Feddermann
Erneute Bekanntmachung zur Bauleitplanung der Stadt Aurich
Inkrafttreten der 2. Änderung des Bebauungsplanes Nr. SA 8a (Ehemaliges Krankenhausgelände)
Der Rat der Stadt Aurich hat am 18.02.1999 in öffentlicher Sitzung die 1. Änderung des Bebauungsplans Nr. SA 8a (ehemalig Krankenhaus) nach § 10 Abs. 1 Baugesetzbuch (BauGB) mit der Begründung als Satzung beschlossen.
Die Ausfertigung der 1. Änderung des Bebauungsplans Nr. SA 8a hat vor seiner Bekanntmachung zu erfolgen. Zur Heilung dieses Verfahrensfehlers wird die 1. Änderung des Bebauungsplans Nr. SA 8a im Rahmen eines ergänzenden Verfahrens gem. § 214 Abs. 4 BauGB hiermit erneut bekannt gemacht. Die 1. Änderung des Bebauungsplans Nr. SA 8a wird damit rückwirkend zum 04.06.1999 in Kraft gesetzt.
Der Geltungsbereich der 1. Änderung des Bebauungsplans Nr. SA 8a ist in dem nachfolgenden Kartenausschnitt, der Bestandteil der Bekanntmachung ist, schwarz umrandet dargestellt.
Der Bebauungsplan mit der Begründung, kann zu den Geschäftszeiten (Mo. – Mi. von 8.00 - 15.30 Uhr, Do. von 8.00 – 18.00 Uhr und Fr. von 8.00 - 12.30 Uhr) im Rathaus der Stadt Aurich,
Bgm.-Hippen-Platz 1, 26603 Aurich, 2. OG, FD Planung eingesehen werden.
Auf die Vorschriften des § 44 Abs. 3 Satz 1 und 2 und Abs. 4 des BauGB über die fristgemäße Geltendmachung etwaiger Entschädigungsansprüche von durch Festsetzungen des Bebauungsplanes oder seine Durchführung eintretenden Vermögensnachteilen, die in den §§ 39 bis 42 BauGB bezeichnet sind, sowie über die Fälligkeit und das Erlöschen von Entschädigungsansprüchen bei nicht fristgemäßer Geltendmachung wird hingewiesen. Der Entschädigungsberechtigte kann die Fälligkeit des Anspruchs dadurch herbeiführen, dass er die Leistung der Entschädigung schriftlich bei dem Entschädigungspflichtigen beantragt. Ein Entschädigungsanspruch erlischt, wenn nicht innerhalb von drei Jahren nach Ablauf des Kalenderjahres, in dem die in den §§ 39 bis 42 BauGB bezeichneten Vermögensnachteilen eingetreten sind, die Fälligkeit des Anspruchs herbeigeführt wird.
Gem. § 215 Abs. 1 BauGB werden unbeachtlich:
- eine nach § 214 Abs. 1 Satz 1 Nr. 1 bis 3 BauGB beachtliche Verletzung der dort bezeichneten Verfahrens- und Formvorschriften
- eine unter Berücksichtigung des § 214 Abs. 2 BauGB beachtliche Verletzung der Vorschriften über das Verhältnis des Bebauungsplanes und des Flächennutzungsplanes und
- nach § 214 Abs. 3 Satz 2 BauGB beachtliche Mängel des Abwägungsvorgangs,
wenn sie nicht innerhalb eines Jahres seit dieser Bekanntmachung des Bauleitplanes schriftlich gegenüber der Stadt Aurich, Bgm.-Hippen-Platz 1, 26603 Aurich unter Darlegung des die Verletzung begründenden Sachverhaltes geltend gemacht worden sind. Satz 1 gilt entsprechend, wenn Fehler nach § 214 Absatz 2a beachtlich sind.
Mit der Bekanntmachung im Amtsblatt für den Landkreis Aurich am 28.03.2025 tritt die 1. Änderung des Bebauungsplans Nr. SA 8a rückwirkend in Kraft.
Auf die Bekanntmachung im Aushangkasten des Rathauses, sowie im Internet unter https://www.aurich.de/bauen-wohnen/bauleitplanung/bauleitplaene-wirksamrechtskraeftig-2025.html wird hingewiesen.
Des Weiteren wird gemäß § 10a Abs. 2 BauGB der in Kraft getretene Bebauungsplan mit der Begründung dauerhaft ins Internet eingestellt und über ein zentrales Internetportal des Landes unter https://uvp.niedersachsen.de zugänglich gemacht.
Aurich, den 24.03.2025
Der Bürgermeister
Feddermann
Erneute Bekanntmachung zur Bauleitplanung der Stadt Aurich
Inkrafttreten des Bebauungsplanes Nr. 321 „Südlich Gasthaushelmer“
Der Rat der Stadt Aurich hat am 13.12.2012 in öffentlicher Sitzung den Bebauungsplan Nr. 321 „südlich Gasthaushelmer“ nach § 10 Abs. 1 Baugesetzbuch (BauGB) mit der Begründung als Satzung beschlossen.
Die Ausfertigung des Bebauungsplans Nr. 321 „Südlich Gasthaushelmer“ hat vor seiner Bekanntmachung zu erfolgen. Zur Heilung dieses Verfahrensfehlers wird der Bebauungsplan Nr. 321 „Südlich Gasthaushelmer“ im Rahmen eines ergänzenden Verfahrens gem. § 214 Abs. 4 BauGB hiermit erneut bekannt gemacht. Der Bebauungsplan Nr. 321 „Südlich Gasthaushelmer“ wird damit rückwirkend zum 24.05.2013 in Kraft gesetzt.
Der Geltungsbereich des Bebauungsplans Nr. 321 ist in dem nachfolgenden Kartenausschnitt, der Bestandteil der Bekanntmachung ist, schwarz umrandet dargestellt.
Der Bebauungsplan mit der Begründung, kann zu den Geschäftszeiten (Mo. – Mi. von 8.00 – 15.30 Uhr, Do. von 8.00 – 18.00 Uhr und Fr. von 8.00 - 12.30 Uhr) im Rathaus der Stadt Aurich,
Bgm.-Hippen-Platz 1, 26603 Aurich, 2. OG, FD Planung eingesehen werden.
Auf die Vorschriften des § 44 Abs. 3 Satz 1 und 2 und Abs. 4 des BauGB über die fristgemäße Geltendmachung etwaiger Entschädigungsansprüche von durch Festsetzungen des Bebauungsplanes oder seine Durchführung eintretenden Vermögensnachteilen, die in den §§ 39 bis 42 BauGB bezeichnet sind, sowie über die Fälligkeit und das Erlöschen von Entschädigungsansprüchen bei nicht fristgemäßer Geltendmachung wird hingewiesen. Der Entschädigungsberechtigte kann die Fälligkeit des Anspruchs dadurch herbeiführen, dass er die Leistung der Entschädigung schriftlich bei dem Entschädigungspflichtigen beantragt. Ein Entschädigungsanspruch erlischt, wenn nicht innerhalb von drei Jahren nach Ablauf des Kalenderjahres, in dem die in den §§ 39 bis 42 BauGB bezeichneten Vermögensnachteilen eingetreten sind, die Fälligkeit des Anspruchs herbeigeführt wird.
Gem. § 215 Abs. 1 BauGB werden unbeachtlich:
- eine nach § 214 Abs. 1 Satz 1 Nr. 1 bis 3 BauGB beachtliche Verletzung der dort bezeichneten Verfahrens- und Formvorschriften
- eine unter Berücksichtigung des § 214 Abs. 2 BauGB beachtliche Verletzung der Vorschriften über das Verhältnis des Bebauungsplanes und des Flächennutzungsplanes und
- nach § 214 Abs. 3 Satz 2 BauGB beachtliche Mängel des Abwägungsvorgangs,
wenn sie nicht innerhalb eines Jahres seit dieser Bekanntmachung des Bauleitplanes schriftlich gegenüber der Stadt Aurich, Bgm.-Hippen-Platz 1, 26603 Aurich unter Darlegung des die Verletzung begründenden Sachverhaltes geltend gemacht worden sind. Satz 1 gilt entsprechend, wenn Fehler nach § 214 Absatz 2a beachtlich sind.
Mit der Bekanntmachung im Amtsblatt für den Landkreis Aurich am 14.02.2025 tritt der Bebauungsplan Nr. 321 „Südlich Gasthaushelmer“ rückwirkend in Kraft.
Auf die Bekanntmachung im Aushangkasten des Rathauses, sowie im Internet unter https://www.aurich.de/bauen-wohnen/bauleitplanung/bauleitplaene-wirksamrechtskraeftig-2025.html wird hingewiesen.
Des Weiteren wird gemäß § 10a Abs. 2 BauGB der in Kraft getretene Bebauungsplan mit der Begründung dauerhaft ins Internet eingestellt und über ein zentrales Internetportal des Landes unter https://uvp.niedersachsen.de zugänglich gemacht.
Aurich, den 07.02.2025
Erste Stadträtin
i. V. Vorwerk
Anlagen:
- Bebauungsplan Nr. 321 “südlich Gasthaushelmer”
- Begründung zum Bebauungsplan Nr. 321 “südlich Gasthaushelmer”
- Umweltbericht zum Bebauungsplan Nr. 321 “südlich Gasthaushelmer”
- Erfassung und Bewertung von Fledermausvorkommen
- Endbericht zur Holzkäferkartierung
- Fachbeitrag epiphytische Flechten
- Flechtenkartierung Lage Bäume
Erneute Bekanntmachung zur Bauleitplanung der Stadt Aurich
Inkrafttreten des Bebauungsplanes Nr. 318 „Dreekamp“
Der Rat der Stadt Aurich hat am 13.12.2012 in öffentlicher Sitzung den Bebauungsplan Nr. 318 „Dreekamp“ nach § 10 Abs. 1 Baugesetzbuch (BauGB) mit der Begründung als Satzung beschlossen.
Die Ausfertigung des Bebauungsplans Nr. 318 „Dreekamp“ hat vor seiner Bekanntmachung zu erfolgen.
Zur Heilung dieses Verfahrensfehlers wird der Bebauungsplan Nr. 318 „Dreekamp“ im Rahmen eines ergänzenden Verfahrens gem. § 214 Abs. 4 BauGB hiermit erneut bekannt gemacht. Der Bebauungsplan Nr. 318 „Dreekamp“ wird damit rückwirkend zum 08.03.2013 in Kraft gesetzt.
Der Geltungsbereich des Bebauungsplans Nr. 318 ist in dem nachfolgenden Kartenausschnitt, der Bestandteil der Bekanntmachung ist, schwarz umrandet dargestellt.
Der Bebauungsplan mit der Begründung, kann zu den Geschäftszeiten (Mo. – Mi. von 8.00 – 15.30 Uhr, Do. von 8.00 – 18.00 Uhr und Fr. von 8.00 - 12.30 Uhr) im Rathaus der Stadt Aurich,
Bgm.-Hippen-Platz 1, 26603 Aurich, 2. OG, FD Planung eingesehen werden.
Auf die Vorschriften des § 44 Abs. 3 Satz 1 und 2 und Abs. 4 des BauGB über die fristgemäße Geltendmachung etwaiger Entschädigungsansprüche von durch Festsetzungen des Bebauungsplanes oder seine Durchführung eintretenden Vermögensnachteilen, die in den §§ 39 bis 42 BauGB bezeichnet sind, sowie über die Fälligkeit und das Erlöschen von Entschädigungsansprüchen bei nicht fristgemäßer Geltendmachung wird hingewiesen. Der Entschädigungsberechtigte kann die Fälligkeit des Anspruchs dadurch herbeiführen, dass er die Leistung der Entschädigung schriftlich bei dem Entschädigungspflichtigen beantragt. Ein Entschädigungsanspruch erlischt, wenn nicht innerhalb von drei Jahren nach Ablauf des Kalenderjahres, in dem die in den §§ 39 bis 42 BauGB bezeichneten Vermögensnachteilen eingetreten sind, die Fälligkeit des Anspruchs herbeigeführt wird.
Gem. § 215 Abs. 1 BauGB werden unbeachtlich:
- eine nach § 214 Abs. 1 Satz 1 Nr. 1 bis 3 BauGB beachtliche Verletzung der dort bezeichneten Verfahrens- und Formvorschriften
- eine unter Berücksichtigung des § 214 Abs. 2 BauGB beachtliche Verletzung der Vorschriften über das Verhältnis des Bebauungsplanes und des Flächennutzungsplanes und
- nach § 214 Abs. 3 Satz 2 BauGB beachtliche Mängel des Abwägungsvorgangs,
wenn sie nicht innerhalb eines Jahres seit dieser Bekanntmachung des Bauleitplanes schriftlich gegenüber der Stadt Aurich, Bgm.-Hippen-Platz 1, 26603 Aurich unter Darlegung des die Verletzung begründenden Sachverhaltes geltend gemacht worden sind. Satz 1 gilt entsprechend, wenn Fehler nach § 214 Absatz 2a beachtlich sind.
Mit der Bekanntmachung im Amtsblatt für den Landkreis Aurich am 31.01.2025 tritt der Bebauungsplan Nr. 318 „Dreekamp“ rückwirkend in Kraft.
Auf die Bekanntmachung im Aushangkasten des Rathauses, sowie im Internet unter https://www.aurich.de/bauen-wohnen/bauleitplanung/bauleitplaene-wirksamrechtskraeftig-2025.html wird hingewiesen.
Des Weiteren wird gemäß § 10a Abs. 2 BauGB der in Kraft getretene Bebauungsplan mit der Begründung dauerhaft ins Internet eingestellt und über ein zentrales Internetportal des Landes unter https://uvp.niedersachsen.de zugänglich gemacht.
Aurich, den 28.01.2025
Der Bürgermeister
Feddermann
Bekanntmachung zur Bauleitplanung der Stadt Aurich
Bekanntmachung über das Inkrafttreten der Innenbereichssatzung Nr. 63 „Ortskern Schirum“
Der Rat der Stadt Aurich hat am 12.12.2024 in öffentlicher Sitzung die Satzung Nr. 63 „Ortskern Schirum“ gem. § 34 Baugesetzbuch (BauGB) und gem. § 10 Abs. 3 BauGB als Satzung beschlossen.
Das Ziel der Satzung ist die Innen- bzw. Eigenentwicklung des Ortskerns von Schirum zu stärken, um den Bedarf an Wohnbebauung insbesondere für bauwillige Einwohnerinnen und Einwohner gerecht zu werden.
Der Geltungsbereich der Innenbereichssatzung Nr. 63 „Ortskern Schirum“ ist in dem nachfolgenden Kartenausschnitt, der Bestandteil der Bekanntmachung ist, schwarz umrandet dargestellt.
Die Satzung Nr. 63 liegt gem. § 10 Abs. 3 BauGB mit der Begründung zu jedermanns Einsicht zu den Geschäftszeiten (Mo. – Mi. von 8.00 – 15.30 Uhr, Do. von 8.00 – 18.00 Uhr und Fr. von 8.00 – 12.30 Uhr) im Rathaus der Stadt Aurich, Bgm.-Hippen-Platz 1, 26603 Aurich, 2. OG bereit. Über den Inhalt der Satzung wird auf Verlangen Auskunft gegeben.
Des Weiteren wird die in Kraft getretene Satzung gem. § 10a Abs. 2 BauGB dauerhaft unter https://www.aurich.de/bauen-wohnen/bauleitplanung/bauleitplaene-wirksam/rechtskraeftig-2025.html ins Internet eingestellt und über ein zentrales Internetportal des Landes unter https://uvp.niedersachsen.de/ zugänglich gemacht.
Gem. § 215 Abs. 1 BauGB werden unbeachtlich:
- eine nach § 214 Abs. 1 Satz 1 Nr. 1 bis 3 BauGB beachtliche Verletzung der dort bezeichneten Verfahrens- und Formvorschriften und
- nach § 214 Abs. 3 Satz 2 BauGB beachtliche Mängel des Abwägungsvorgangs,
wenn sie nicht innerhalb eines Jahres seit dieser Bekanntmachung der der Bauleitplanung schriftlich gegenüber der Stadt Aurich unter Darlegung des die Verletzung begründenden Sachverhaltes geltend gemacht worden sind.
Mit der Bekanntmachung im Amtsblatt für den Landkreis Aurich am 24.01.2025 tritt die Innenbereichssatzung Nr. 63 „Ortskern Schirum“ in Kraft.
Auf die gleichlautende Bekanntmachung an den öffentlichen Aushangtafeln des Rathauses in 26603 Aurich, Bgm.-Hippen-Platz 1 wird hingewiesen.
Aurich, den 17.01.2025
Der Bürgermeister
Feddermann
Erneute Bekanntmachung zur Bauleitplanung der Stadt Aurich
Inkrafttreten des Bebauungsplanes Nr. 314 „Spaalstraße“
Der Rat der Stadt Aurich hat am 15.12.2011 in öffentlicher Sitzung den Bebauungsplan Nr. 314 „Spaalstraße“ nach § 10 Abs. 1 Baugesetzbuch (BauGB) mit der Begründung als Satzung beschlossen.
Die Ausfertigung des Bebauungsplans Nr. 314 „Spaalstraße“ hat vor seiner Bekanntmachung zu erfolgen.
Zur Heilung dieses Verfahrensfehlers wird der Bebauungsplan Nr. 314 „Spaalstraße“ im Rahmen eines ergänzenden Verfahrens gem. § 214 Abs. 4 BauGB hiermit erneut bekannt gemacht. Der Bebauungsplan Nr. 314 „Spaalstraße“ wird damit rückwirkend zum 14.09.2012 in Kraft gesetzt.
Der Geltungsbereich des Bebauungsplans Nr. 314 ist in dem nachfolgenden Kartenausschnitt, der Bestandteil der Bekanntmachung ist, schwarz umrandet dargestellt.
Der Bebauungsplan mit der Begründung, kann zu den Geschäftszeiten (Mo. – Mi. von 8.00 – 15.30 Uhr, Do. von 8.00 – 18.00 Uhr und Fr. von 8.00 – 12.30 Uhr) im Rathaus der Stadt Aurich,
Bgm.-Hippen-Platz 1, 26603 Aurich, 2. OG, FD Planung eingesehen werden.
Auf die Vorschriften des § 44 Abs. 3 Satz 1 und 2 und Abs. 4 des BauGB über die fristgemäße Geltendmachung etwaiger Entschädigungsansprüche von durch Festsetzungen des Bebauungsplanes oder seine Durchführung eintretenden Vermögensnachteilen, die in den §§ 39 bis 42 BauGB bezeichnet sind, sowie über die Fälligkeit und das Erlöschen von Entschädigungsansprüchen bei nicht fristgemäßer Geltendmachung wird hingewiesen. Der Entschädigungsberechtigte kann die Fälligkeit des Anspruchs dadurch herbeiführen, dass er die Leistung der Entschädigung schriftlich bei dem Entschädigungspflichtigen beantragt. Ein Entschädigungsanspruch erlischt, wenn nicht innerhalb von drei Jahren nach Ablauf des Kalenderjahres, in dem die in den §§ 39 bis 42 BauGB bezeichneten Vermögensnachteilen eingetreten sind, die Fälligkeit des Anspruchs herbeigeführt wird.
Gem. § 215 Abs. 1 BauGB werden unbeachtlich:
- eine nach § 214 Abs. 1 Satz 1 Nr. 1 bis 3 BauGB beachtliche Verletzung der dort bezeichneten Verfahrens- und Formvorschriften
- eine unter Berücksichtigung des § 214 Abs. 2 BauGB beachtliche Verletzung der Vorschriften über das Verhältnis des Bebauungsplanes und des Flächennutzungsplanes und
- nach § 214 Abs. 3 Satz 2 BauGB beachtliche Mängel des Abwägungsvorgangs,
wenn sie nicht innerhalb eines Jahres seit dieser Bekanntmachung des Bauleitplanes schriftlich gegenüber der Stadt Aurich, Bgm.-Hippen-Platz 1, 26603 Aurich unter Darlegung des die Verletzung begründenden Sachverhaltes geltend gemacht worden sind. Satz 1 gilt entsprechend, wenn Fehler nach § 214 Absatz 2a beachtlich sind.
Mit der Bekanntmachung im Amtsblatt für den Landkreis Aurich am 10.01.2025 tritt der Bebauungsplan Nr. 314 “Spaalstraße“ rückwirkend in Kraft.
Auf die Bekanntmachung im Aushangkasten des Rathauses, sowie im Internet unter https://www.aurich.de/bauen-wohnen/bauleitplanung/bauleitplaene-wirksamrechtskraeftig-2025.html wird hingewiesen.
Des Weiteren wird gemäß § 10a Abs. 2 BauGB der in Kraft getretene Bebauungsplan mit der Begründung dauerhaft ins Internet eingestellt und über ein zentrales Internetportal des Landes unter https://uvp.niedersachsen.de/kartendienste zugänglich gemacht.
Aurich, den 06.01.2025
Der Bürgermeister
Feddermann